Trsteno dobiva dvije nove autobusne stanice i novo parkiralište

Autor: dubrovackidnevnik.hr Autori fotografija: Grad Dubrovnik

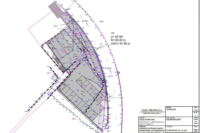
S ciljem kvalitetnijeg rješavanja prometa u mirovanju u Trstenom, Grad Dubrovnik je krajem 2023. godine kupio zemljište na samom istočnom ulazu u mjesto s ciljem izgradnje nove autobusne stanice, koja bi se izmjestila s postojeće lokacije ispod platane i smjestila na lokaciju poviše crkve. 

U sklopu ovog projekta osigurala bi se i dodatna parking mjesta za mještane Trstenog, ali i za ostale posjetitelje.

Projektom je predviđeno 18 parkirališnih mjesta za automobile te dva za autobuse. Idejni projekt je završen, dok su za 1. fazu projekta - izgradnju potpornih zidova i uređenje platoa, dovršeni i glavni i izvedbeni projekt te bi se s radovima na ovoj fazi moglo započeti već najesen. Očekuje se tako da bi nova autobusna stanica i parkiralište u funkciji bili iduće godine.

Nadalje, u suradnji s Hrvatskim cestama Grad Dubrovnik započeo je projektiranje i druge autobusne stanice, na zapadnoj strani.

Realizacijom ovih projekata osigurat će se kvalitetnije funkcioniranje javnog prijevoza, ali i samog mjesta, osobito kretanje pješaka, a što trenutačno nije slučaj i zbog čega je Grad Dubrovnik prošle godine pokrenuo čitavu proceduru.

Ujedno, u suradnji s MUP-om, Grad Dubrovnik iskazao je namjeru kupnje kamere za mjerenje brzine, čime bi se dodatno utjecalo na smanjenje brzine u vožnji i podigla razina sigurnosti pješa

Popularni Članci